Włoskie pruss - różnorodność szarańczy
Zadowolony
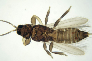
Włoskie PRUTS - Pest związany z oddziałem. Włoskie pruss - przedstawiciel rodziny prawdziwej szarańczy. Te szkodniki żyją dzisiaj na West Syberyjskim, Kaukazie Północnym, regionie Volga i w Ałtaju.
Włoski pirus uszkadza uprawy rolnicze, głównie słonecznik i ziemniaki, w mniejszym stopniu cierpią na rośliny strączkowe, ziarna i topnienia.
Wygląd włoskiej prus
Dorosła osoba włoskiego Prus długości osiąga 42 milimetry, podczas gdy kobiety dorastają do takich rozmiarów, a mężczyźni nie przekraczają 23 milimetrów.

Z tyłu są 3 stępki podłużną. Skrzydła i stopy różowego koloru, na nogach są czarne plamy.
Jaja włoskiego prus długości stanowią około 5 milimetrów. Myszy.
Proces reprodukcji włoskich prętów
Zimą jaja włoskiego Prusa są na głębokości 2-5 centymetrów w Kubashka. Larwy zaczynają pojawiać się w połowie maja, a ten proces trwa do początku lipca. Larwy tych szkodników mają pięć wieków rozwoju. Cały okres rozwoju trwa 45 dni, po którym larwa zamienia się w skrzydło.

2 tygodnie po utworzeniu skrzydeł, jednostki mate ze sobą. Po 15 dniach kobieta wybiera gęstą ziemię i stawia jajka. W jednej kubaszkiej znajdują się 4 rzędy składające się z 40 jaj.
Szkoda spowodowana przez włoską prus
Kiedy szkodniki poruszają się przez stada, w których są larwy i dorosłe oskrzydlone osoby, niszczą rośliny rolnicze.
Stada szarańczy szybko rozpadają się, a każda osoba zaczyna zachowywać się jak samotnik. Te szkodniki żyją wśród roślin rozgłoszonych, które są ulubionym jedzeniem włoskiej prus.

Śpiewa rośliny, szkodnik emanny liście i łodygi, więc po inwazji stad, rośliny często umierają. Włoskie pruss pochłania zieloną masę w ilości jest znacznie większa niż własna masa.
Regulacja liczby szkodników
Ważnym czynnikiem życia szarańcza jest temperatura i wilgotność gleby w okresie wiosennym. Jeśli gleba jest zimna i zbyt mokra, potem jaja umierają ze względu na skutki infekcji grzybów, jeśli ziemia, przeciwnie, jest zbyt sucha, a następnie jaja są suszone. Czynniki te są naturalnym sposobem regulacji liczby szkodników.
Aby uniknąć ataków Saranchi, opracowano wyspecjalizowane techniki obrony: mechaniczne, rolnicze, genetyczne, biologiczne, fizyczne, integralne i chemiczne.




















